Rejoignez-nous

Genève

Météo : les températures sont douces à Genève

Publié

,

le

Le lac Léman sous le soleil

La journée promet d’être ensoleillée malgré quelques passages nuageux. Les températures atteindront les 23°. 

Demain : votre matinée sera ensoleillée et le ciel sera dégagé. Avant le retour de la pluie et des orages en fin de journée. Les minimales seront en baisse avec 9°. Les maximales atteindront les 23°. 

Mercredi : journée nuageuse et températures en baisse. Il fera 19° au plus fort de la journée.

Jeudi : retour du soleil. Il ne fera pas plus de 16°.

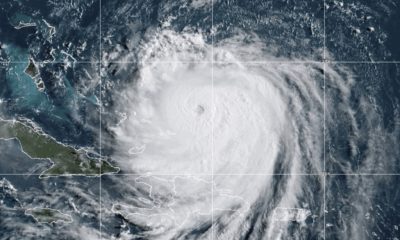
L’ouragan Lorenzo s’approche de l’Europe

Classé dimanche en catégorie 5, la plus élevée sur l’échelle de Saffir-Simpson (échelle de classification de l’intensité des cyclones tropicaux) , l’ouragan Lorenzo se distingue par des vents moyens atteignant les 200 km/h. Actuellement dans l’océan Atlantique, ce dernier évolue en direction des Açores dont il devrait toucher les côtes demain ou après-demain.

Même s’il est difficile de prévoir les trajectoires des cyclones, Lorenzo pourrait remonter vers les îles britanniques où il perdrait en intensité. D’ouragan il passerait au statut de tempête selon les spécialistes. Il pourrait ainsi être rétrogradé en catégorie 2 avant de toucher les côtes bretonnes en fin de semaine.

Culture

Festival du LÀC: une cinquième édition sous le signe du courage

Publié

le

L'écrivain Boualem Sansal est attendu le 6 juin au festival du LÀC à Collonge-Bellerive (archives). (© KEYSTONE/DPA POOL AFP/JOHN MACDOUGALL)

Le Festival du LÀC fêtera ses cinq ans du 5 au 7 juin à Collonge-Bellerive (GE). Parmi les plus de 100 auteurs réunis à la ferme de Saint-Maurice, Boualem Sansal sera présent le jour de sortie de son nouveau livre consacré au récit de sa détention en Algérie.

Cette édition explore le courage sous toutes ses formes, sportif, politique, intime, à travers des témoignages marquants: la sportive afghane Marzieh Hamidi, l'écrivain Louis Arnaud revenant sur sa détention en Iran, la philanthrope Albina du Boisrouvray ou encore Louis-Henri Derungs, conférencier amputé des deux bras après une électrocution.

Invités d'honneur

En tête d'affiche, Douglas Kennedy présentera son roman événement "L'homme qui n'avait pas assez d'une vie", 28 ans après le succès mondial de "L'Homme qui voulait vivre sa vie". Invité exceptionnel, le Suisse Alain Claude Sulzer, lauréat du Prix Médicis étranger et prix des auditeurs de la RTS, présentera son roman "F comme frère". Le festival donnera également un coup de projecteur sur l'autrice Adeline Dieudonné et sur son livre "Dans la jungle".

Le plateau réunit également des noms de premier plan: Yasmina Khadra, Pascal Bruckner, Sandrine Collette, Valentin Musso, ainsi que de nombreux auteurs suisses comme Metin Arditi, Joseph Incardona, l'ancien conseiller fédéral Joseph Deiss ou l'acteur Samuel Labarthe.

Littérature plutôt que controverse

L'auteur franco-algérien Boualem Sansal sera présent le 6 juin, jour même de la parution de son nouveau livre "La Légende". L'octogénaire fait l'objet de controverses dans l'Hexagone, où il lui est reproché une dérive vers l'extrême-droite. Notamment après sa décision de quitter Gallimard et de publier son dernier ouvrage chez Grasset, maison d'édition appartenant au milliardaire de la droite très conservatrice Vincent Bolloré.

"Le festival reste centré sur la littérature, loin des polémiques", a indiqué à Keystone-ATS Sandrine Bourgeois, codirectrice de la manifestation, interrogée sur cette venue. "Nous n'avons pas cherché à faire le buzz. Nous l'avons invité quand il est entré à l'Académie française, non pour le récit de sa détention, mais pour son livre "Le français parlons-en", paru en 2024. S'il fallait inviter uniquement des gens tout blancs, il n'y aurait plus de festivals", remarque-t-elle.

Des nouveautés

Les organisateurs mentionnent également une exposition inédite de photos réalisées par Jack London pour le 120e anniversaire du tremblement de terre de San Francisco.

Pour la première fois, le festival s'ouvre aux arts de la scène avec une soirée théâtrale le vendredi 5 juin. Un espace Jeunesse, dédié aux 3-12 ans, accueillera notamment Albertine, Germano Zullo et Anne Goscinny pour des ateliers et des dédicaces.

Quatre prix littéraires seront décernés, dont le Prix du LÀC, choisi par un jury de quelque cent lecteurs parmi une sélection d'auteurs francophones.

Le Festival du livre à Collonges (LÀC) est placé sous la présidence de Pierre Assouline, membre de l'Académie Goncourt. L'an dernier, il avait accueilli plus de 5000 visiteurs. L'entrée est libre.

www.festival-du-lac.com

Cet article a été publié automatiquement. Source : ats

Continuer la lecture

Genève

Wawrinka: "J'ai besoin d'essayer de repousser mes limites"

Publié

le

Wawrinka s'est confié à la presse suisse samedi à Genève (© KEYSTONE/SALVATORE DI NOLFI)

Stan Wawrinka s'est confié à la presse samedi après-midi avant son entrée en lice dans le Geneva Open. "Je suis heureux d'être de retour à Genève, à la maison", glisse-t-il d'emblée.

Le Vaudois de 41 ans effectue un retour très attendu sur la terre battue du Parc des Eaux-Vives, sept ans après sa dernière apparition dans un tournoi qu'il a remporté à deux reprises (2016, 2017). Regrette-t-il d'avoir attendu si longtemps avant de revenir à Genève? "Il faut faire des choix", répond-il.

"Si je joue toujours aujourd'hui, c'est aussi car j'ai su faire les bons choix dans la planification de ma carrière et de mes saisons", souligne l'ex-no 3 mondial, pour qui il était cependant "important de disputer tous les tournois en Suisse à l'occasion de ma dernière année sur le circuit."

Les émotions sont présentes à chaque tournoi depuis le début de la saison. "C'est forcément spécial dans des tournois qu'on a disputés 10 ou 15 fois. A l'Open d'Australie, l'ambiance était exceptionnelle pour mes matches, le soutien du public aussi", sourit celui qui avait atteint le 3e tour du premier Majeur de l'année à Melbourne.

Ne pas faire de la figuration

"Ce sera bien sûr spécial en Suisse, où j'ai toujours été énormément soutenu", poursuit-il. Plus spécial encore en Suisse romande qu'à Gstaad ou à Bâle ? "Il n'y a pas de différence selon moi au niveau du soutien dont je bénéficie dans toute la Suisse. Il y aura beaucoup d'émotions partout", précise-t-il.

Mais comment faire pour rester concentré sur son tennis, alors que les émotions sont immenses quasiment à chaque match ? "A la fin, les émotions sont là pendant les matches ou sur le dernier match du tournoi. Mais il y a énormément de temps entre chaque tournoi. C'est là qu'on essaie d'être le plus compétitif possible", glisse-t-il.

"C'est là qu'il faut se pousser, qu'il faut s'entraîner un maximum. Il faut maintenir ce niveau physique, ce niveau tennistique aussi. Je sais que je ne pourrais pas jouer si c'était juste pour faire de la figuration. J'ai besoin d'essayer de repousser mes limites", explique encore le triple vainqueur de Grand Chelem, pour qui "les défaites sont toujours aussi difficiles à encaisser."

Cet article a été publié automatiquement. Source : ats

Continuer la lecture

Culture

La Cité Bleue dévoile 35 spectacles pour sa saison 2026-2027

Publié

le

Le directeur général de La Cité Bleue Leonardo Garcia-Alarcon pilotera plusieurs des spectacles prévus dans le cadre du festival à Genève (archives). (© KEYSTONE/MARTIAL TREZZINI)

La Cité Bleue à Genève a prévu 35 spectacles pour sa saison 2026-2027 dès le 5 septembre prochain, allant de la musique baroque au théâtre musical en passant par de la danse. Deux concerts, un atelier et un film pour les tout petits sont également au menu.

Cette saison est annoncée sous le signe de l'"abrazo", une étreinte pour faire dialoguer les contraires. Parmi les animations, la grande fresque "Roma" du directeur du festival Leonardo Garcia-Alarcon fera passer de l'ombre de la Chappelle Sixtine à la lumière du baroque italien.

"Musiques interdites" proposera un cabaret allemand de l'entre-deux-guerres pour mettre à l'honneur la liberté artistique face à l'oppression. Deux composantes importantes du festival reviennent avec "Seasons", qui allie musique, théâtre et cinéma, et le tango de "Maria de Buenos Aires" .

Outre le directeur argentin, de nombreux artistes égayeront cette édition. De la soprano Sabine Devieilhe au jeune violoniste Pablo Agudo Lopez.

L'Ensemble Cappella Mediterranea contribuera largement. Et l'Orchestre de chambre de Genève (OCG) sera associé à plusieurs reprises à la programmation du festival.

Cet article a été publié automatiquement. Source : ats

Continuer la lecture

Genève

Wawrinka-Tabilo au 1er tour à Genève

Publié

le

Stan Wawrinka affrontera Sebastian Baez au 1er tour à Genève (© KEYSTONE/AP/Asanka Brendon Ratnayake)

Stan Wawrinka (ATP 125) a hérité d'un adversaire difficile à manoeuvrer pour son entrée en lice au Geneva Open. Le Vaudois de 41 ans affrontera Alejandro Tabilo (ATP 35) au 1er tour de l'ATP 250.

Les deux hommes ont déjà été opposés une fois, sur la terre battue de Monte-Carlo en 2025. Alejandro Tabilo, tête de série no 7 du tableau à Genève, s'était alors imposé 1-6 7-5 7-5. Et le Chilien tient la forme, avec un titre cueilli début mai dans le Challenger d'Aix-en-Provence.

Sacré en 2016 et en 2017 dans le Parc des Eaux-Vives, Stan Wawrinka est le seul Suisse admis directement dans le tableau principal. Le Genevois Kilian Feldbausch (ATP 355) et le Bâlois Henry Bernet (ATP 480), vainqueur de l'Open d'Australie chez les juniors en 2025, tenteront quant à eux leur chance lors des qualifications.

Cet article a été publié automatiquement. Source : ats

Continuer la lecture

Economie

Le dispositif des TPG pendant le sommet du G7 d'Evian

Publié

le

Les TPG adaptent leurs horaires pendant le G7 d'Evian. (© KEYSTONE/SALVATORE DI NOLFI)

Les TPG ont dévoilé le dispositif prévu pour les transports publics à Genève pendant la période du sommet du G7 du 15 au 17 juin à Evian (F). Les principales annonces de vendredi:

- l'horaire des vacances sera appliqué du 15 au 17 juin, sauf pour quelques lignes.

- la ligne des plages ne sera pas exploitée du 12 au 14 juin.

- certaines lignes, notamment transfrontalières, pourraient être perturbées ou diminuées en raison des conditions de sécurité, comme l'a annoncé le Conseil d'Etat mercredi.

- les TPG demandent à la population de suivre les indications sur leur site tpg.ch et les écrans dans les véhicules. Ils recommandent aux usagers d'anticiper leurs déplacements.

Une ligne téléphonique gratuite sera activée au 0800 858 900 dès la veille et jusqu'au lendemain du sommet. La clientèle est priée d'effectuer avant tout les commandes en ligne.

Cet article a été publié automatiquement. Source : ats

Continuer la lecture

Derniers titres

Publicité

L'info en continu

EconomieIl y a 55 minutes

Nouvelle édition des caves ouvertes vaudoises ce week-end

Les caves ouvertes vaudoises reviennent le samedi 23 et le dimanche 24 mai, durant le week-end de Pentecôte. A cette...

CultureIl y a 1 heure

Forte affluence à la Fête fédérale de musique à Bienne

La 35e Fête fédérale de musique a transformé Bienne en capitale suisse de la musique...

CultureIl y a 2 heures

Festival du LÀC: une cinquième édition sous le signe du courage

Le Festival du LÀC fêtera ses cinq ans du 5 au 7 juin à Collonge-Bellerive...

CultureIl y a 2 heures

Oron-Mézières: double exposition sur les plantes invasives

Le Château d'Oron (VD) et le Musée du Papier peint de Mézières (FR) collaborent à...

InternationalIl y a 3 heures

Un adversaire de Trump au sein des républicains battu en Louisiane

Le sénateur républicain Bill Cassidy, partisan il y a cinq ans de destituer Donald Trump...

InternationalIl y a 4 heures

Buffalo égalise à 3-3 face à Montréal

Montréal a manqué le coche samedi devant son public. Les Canadiens ont été humiliés (8-3)...

InternationalIl y a 5 heures

Smalley en tête, suspense entier après le 3e tour

Alex Smalley, grâce à une belle fin de parcours, s'est légèrement détaché seul en tête...

InternationalIl y a 7 heures

La Russie attaquée par près de 600 drones ukrainiens: quatre morts

La Russie a indiqué dimanche avoir été visée par l'une des attaques ukrainiennes les plus...

InternationalIl y a 7 heures

Epidémie d'Ebola: l'OMS déclare une urgence de santé internationale

L'Organisation mondiale de la santé (OMS) a déclenché dimanche son deuxième niveau d'alerte internationale le...

SuisseIl y a 9 heures

La ministre vaudoise Valérie Dittli entend terminer la législature

La conseillère d'État vaudoise Valérie Dittli, épinglée dans plusieurs rapports et visée par une instruction...